WSSL — SINGAPORE / SELETAR
| 1 | ARP Coordinates and Site at AD | 012501.04N 1035203.52E |
| 2 | Direction and distance from (city) | 006°, 14.6km from city centre (THE FULLERTON, SINGAPORE) |
| 3 | Elevation/Reference Temperature | 14 M (46ft) / 33.5°C |
| 4 | Geoid Undulation | 9.78 M |
| 5 | MAG VAR | 0°26' E (2015) |
| 6 | AD Administration, Address, Telephone, Telefax, AFS | Address: TEL: (65)64810017, Fax: (65)64811190 (Airport Manager) AFS: WSSLYDYX |
| 7 | Types of Traffic Permitted | IFR and VFR |
| 8 | Remarks |
|
| 1 | Aerodrome Administration | H24 | 5 | ATS Reporting Office | H24 |
| 2 | Customs and Immigration | H24 | 6 | MET Briefing Office | H24 |
| 3 | Health and Sanitation | H24 | 7 | Air Traffic Services | H24 |
| 4 | AIS Self-Briefing Office | H24 | 8 | Apron Control Office | H24 |
| 1 | Cargo Handling Facilities | Provided by handling agent. |
| 2 | Fuel / Oil Types | AVGAS 100LL, JET A1 |
| 3 | Fuelling Facilities / Capacity | MON to FRI BTN 0030-1030; SAT, SUN and Public holidays BTN 0030-0930 Contact during operating hours: TEL: (65)64811522 or (65)64846681 FAX: (65)64812159 Contact after operating hours: HP: (65)91294161 or (65)91284143 |
| 4 | Hangar space for visiting aircraft | By arrangement with handling agent. |
| 5 | Repair facilities for visiting aircraft | By arrangement with handling agent. |
| 6 | Remarks | Nil |
| 1 | Hotels | Nil |
| 2 | Restaurants | Nil |
| 3 | Transportation | Handling agent provides its own transport service for passengers and crew between airport and city. Public buses and private hired taxis are available at airport terminal. |
| 4 | Medical Facilities | Nil |
| 5 | Bank and Post Office | Nil |
| 6 | Tourist Office | Nil |
| 7 | Remarks | Nil |
| 1 | AD category for fire fighting | CAT7 (No facilities for foaming of runways). |
| 2 | Rescue equipment | Adequately provided as recommended by ICAO. |
| 3 | Capability for removal of disabled aircraft | Up to B757-200. Contact Seletar Airside Operations at: +65 64815077 or +65 97533361 |
| 4 | Remarks | All Airport Emergency Service personnel are trained in rescue and fire-fighting as well as medical first-aid. |
| The aerodrome is available throughout the year |
| 1 | Apron surface and strength | Surface: Bituminous concrete (aircraft stand C7) Strength: PCN44/F/C/X/T Surface: Concrete (all other aircraft stands) Strength: PCN41/R/C/W/T | ||||||||
| 2 | Taxiway width, surface and strength |
| ||||||||
| 3 | Remarks : Nil | |||||||||
| SURFACE MOVEMENT GUIDANCE AND CONTROL SYSTEM AND MARKINGS | ||
|---|---|---|
| 1 | Use of aircraft stand ID signs, TWY guidelines and visual docking/parking guidance system of aircraft stands | Taxiing guidance signs at all intersections with TWY and RWY at all holding positions. Guidelines at apron. Nose-in guidance at aircraft stands. |
| 2 | RWY and TWY markings and LGT | RWY LGT: TWY LGT: MARKING AIDS: AIMING POINT MARKINGS: |
| 3 | Stop Bars | Stop Bars: Red LGT across taxiways W1, W2, W3, E2, E3 and E4, flushed with TWY surface. By default, red stop bar lights remain on unless deselected by the runway controller. When deselected, these stop bar lights will re-activate automatically after 45 seconds. Pilots shall not cross any lighted red stop bar lights. Pilots and drivers shall enter / cross the runway only when both the following conditions are met: The crew have a) received positive ATC clearance to enter / cross the runway or taxiway, and b) observed that the red stop bar lights are turned off. Crash Alarm Stop Bars: Red LGT across junctions of EP, EC4 and EH2 TWY, flushed with TWY surface. (Note to pilots and tow-crew: Slow down when taxiing / towing on TWY EP between TWY EC4 and abeam the Control Tower. Keep a lookout for emergency vehicles that may cross the taxiway to respond to emergency on the RWY.) |
| 4 | Remarks |
|
| Aircraft Stands | Pushback / Tow Forward Procedures | Phraseology Used By SELETAR GROUND |
|---|---|---|
| C1/C2/C3/ C4/C5/C6 | PUSHBACK | |
The aircraft (on idle thrust) shall be pushed back onto TWY WA to face North (or South) until its nosewheel is at the intersection of the aircraft stand lead-in line and the centreline of TWY WA. The aircraft may breakaway from there. | Pushback approved, to faceNorth (or South) | |
| TOW FORWARD | ||
The aircraft (on idle thrust) shall be towed forward onto the centreline of TWY WP to face North (or South) until its nosewheel is at the intersection of the aircraft tow-out line and TWY WP centreline. The aircraft may breakaway from there. | Tow forward approved, to face North (or South) | |
| C7 | PUSHBACK | |
The aircraft (on idle thrust) shall be pushed back onto TWY WA to face North (or South) until its nosewheel is at the intersection of the aircraft stand lead-in line and the centreline of TWY WA. The aircraft may breakaway from there. | Pushback approved, to face North (or South) | |
| C50/C51/C52 | PUSHBACK | |
The aircraft (on idle thrust) shall be pushed back onto TWY ES to face North (or South) until its nosewheel is at the intersection of the aircraft stand lead-in line (or pushback line) and the centreline of TWY ES. The aircraft may breakaway from there. | Pushback approved, to face North (or South) | |
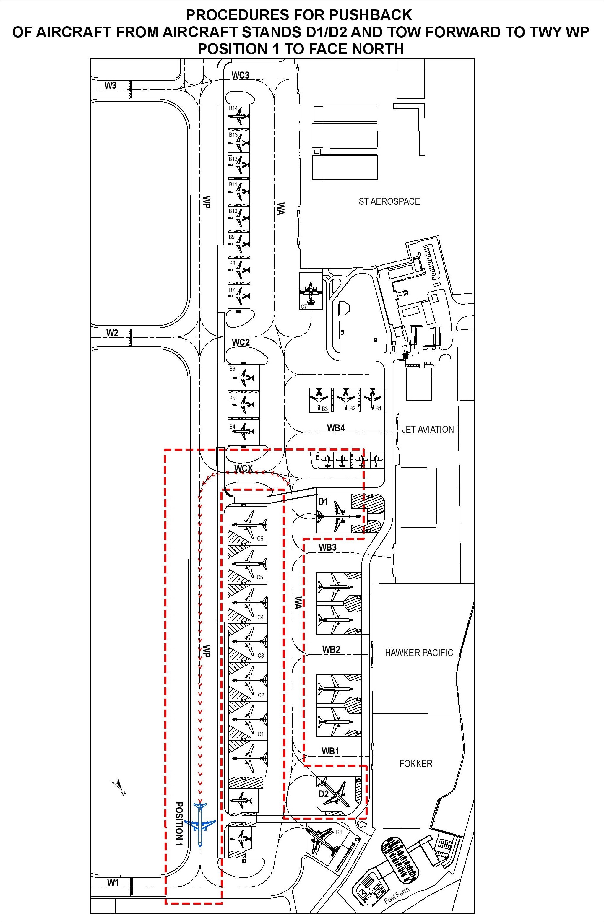
| D1/D2 (for B757-200 and C130) | PUSHBACK AND TOW FORWARD TO TWY WP | |
The tow-crew shall request from Seletar Ground (vehicular) on 122.9MHz for departure pushback approval. Upon receiving the approval, the aircraft shall be pushed back onto TWY WA to face South until its nosewheel is at the intersection of the aircraft stand lead-in line and TWY WA centreline. The aircraft shall then be towed forward to TWY WP until the tow tug towing the aircraft is at the intermediate holding position short of TWY W1 (see chart WSSL AD 2-4-2) or TWY W3 (see chart WSSL AD 2-4-3). Once the tow tug is disengaged, the aircraft will request start up approval from Seletar Ground (aircraft) on 121.6MHz. The aircraft shall breakaway from there. | 1) Tow approved to intermediate holding position on TWY WP short of TWY W1 to face North; or 2) Tow approved to intermediate holding position on TWY WP short of TWY W3 to face South | |
| FOR LANDED B757-200/C130 AIRCRAFT EXITING VIA TWY W1 | ||
After landing, B757-200/C130 aircraft exiting TWY W1 shall stop when its nose is at the information marking “B757/C130 HOLD FOR TOW” on TWY W1. The aircraft shall be on tow starting from this point onwards until they park inside the aircraft stands. | Not applicable | |
| FOR LANDED B757-200/C130 AIRCRAFT EXITING VIA TWY W2 | ||
After landing, B757-200/C130 aircraft exiting TWY W2 shall stop when its nose is at the information marking “B757/C130 HOLD FOR TOW” on TWY W2. The aircraft shall be on tow starting from this point onwards until they park inside the aircraft stands. | Not applicable | |
| FOR LANDED B757-200/C130 AIRCRAFT EXITING VIA TWY W3 | ||
After landing, B757-200/C130 aircraft exiting TWY W3 shall stop when its nose is at the information marking “B757/C130 HOLD FOR TOW” on TWY W3. The aircraft shall be on tow starting from this point onwards until they park inside the aircraft stands. | Not applicable | |
| D50 /D51/ D52/D53/ D54 | The tow crew shall request from Seletar Ground (vehicular) on 122.9MHz for pushback approval. Upon receiving the approval, the aircraft shall be pushed back onto TWY EN to face South until its nosewheel is at the intersection of the aircraft stand pushback line and TWY EN centreline. The aircraft shall then be towed from there. | Pushback approved to face South |


| IN APPROACH / TKOF AREAS | IN CIRCLING AREA AND AT AD | ||||
|---|---|---|---|---|---|
| RWY/Area affected | Obstacle type Elevation Markings/LGT | Coordinates | Obstacle type Elevation Markings/LGT | Coordinates | |
| a | b | c | a | b | |
| RWY 03 TKOF RWY 21 APCH | 1) Mast HGT ranging from 98ft AMSL and above in shipping channel | Approximately 1525m from THR RWY 21 | 1) Power station chimney 407ft AMSL | 012656.8N1035251.7E | |
| 2) Steel structure 300ft AMSL | 012709.78N1035318.74E | 2) Radio masts 237ft AMSL | within 500m radius of 012337N1035144E | ||
| 3) Chimney 276ft AMSL | 012700.18N1035321.93E | 3) Radio mast 217ft AMSL | 012258.8N1035113.8E | ||
| 4) Chimney 273ft AMSL | 012651.81N1035330.23E | 4) Surface Wind Direction Sleeves | located at the northern and southern ends of RWY. | ||
| 5) Chimney 286ft AMSL | 012646.99N1035331.46E | 5) Radio masts 232ft AMSL | within 100m radius of 012454N 1035259E | ||
| 6) Mobile cranes 330ft AMSL | within area bounded by 012627.24N1035313.00E 012607.79N1035333.95E 012614.23N1035337.07E 012623.93N1035316.02E | 6) Radar tower 177ft AMSL marked/LGTD | 012537.79N1035306.74E (reclaimed land north of RWY) | ||
| 7) Mobile cranes 420ft AMSL | within area bounded by 012711.78N1035223.74E 012729.78N1035223.74E 012729.78N1035247.74E 012656.78N1035247.74E | ||||
| 8) Orange frangible poles 2ft AMSL | at the airside turf area 90m fm both sides of RWY to demarcate the boundary for grass cutting and other maint activities. | ||||
| Obstacles in the approach / tkof areas, circling area and at the aerodrome are shown on the AOC and VAC | |||||
| 1 | Associated MET Office | Seletar |
| 2 | Hours of service | H24 |
| 3 | Office responsible for TAF preparation, Periods of validity | Singapore Changi, 9 hours |
| 4 | Type of landing forecast, Interval of issuance | METAR, SPECI BTN 2100-1500 and 1500-2100 (on request). AD warning of adverse weather (H24) |
| 5 | Briefing/consultation provided | Nil |
| 6 | Flight documentation, Language(s) used | Tabular forms, English |
| 7 | Charts/other information available for briefing or consultation | Nil |
| 8 | Supplementary equipment available for providing information | MDWR (Met Doppler Weather Radar) Maint Period: Second WED of every month BTN 0200-0900. Incase of bad WX, THU following the second WED BTN 0200-0900. |
| 9 | ATS units provided with information | Nil |
| 10 | Additional information | TEL: 64815978 (MET Office) |
| Designations RWY NR | TRUE BRG | Dimensions of RWY (m) | Strength (PCN) and Surface of RWY and SWY | THR coordinates (THR GEOID Undulation) | THR Elevation |
|---|---|---|---|---|---|
| 1 | 2 | 3 | 4 | 5 | 6 |
| 03 | 033.33° | 1836 x 46 | 44/F/C/X/T Bituminous Concrete | 012430.846N 1035143.791E (9.78M) | 14 M |
| 21 | 213.33° | 1836 x 46 | 44/F/C/X/T Bituminous Concrete | 012520.791N 1035216.425E (9.78M) | 5 M |
| RWY End Elevation | Highest Elevation of Touchdown Zone | CWY Dimensions | STRIP Dimensions (m) | OFZ | Remarks (continued below) |
|---|---|---|---|---|---|
| 7 | 8 | 9 | 10 | 11 | 12 |
| 5 M | 13 M | 60 M x 150 M | 1956 M x 150 M | Not applicable | RESA RWY 03 - 240m X 92m |
| 14 M | 10 M | RESA RWY 21 - 240m X 150m |
| 12 | Remarks: |
Scheduled closure period for RWY 03/21 Runway turn pad | |
| RWY Designator | TORA(m) | TODA(m) | ASDA(m) | LDA(m) | Remarks |
|---|---|---|---|---|---|
| 1 | 2 | 3 | 4 | 5 | 6 |
| 03 | 1836 | 1896 | 1836 | 1836 | Nil |
| 21 | 1836 | 1896 | 1836 | 1836 | Nil |
| RWY Designator | APCH LGT type LEN INTST | THR LGT Colour WBAR | VASIS (MEHT) PAPI | TDZ LGT LEN | RWY CL LGT,LEN, spacing, colour, INTST | RWY edge LGT LEN, spacing colour, INTST | RWY End LGT Colour WBAR | SWY LGT LEN Colour |
| 1 | 2 | 3 | 4 | 5 | 6 | 7 | 8 | 9 |
| 03 | Simple APCH LGT: 4 rows of barettes of 3 LGT each and 1 crossbar of 13 LGT. White, elevated, uni -directional APCH LGT and white, omni-directional CGL on top of elevated APCH LGT. Simple TDZ LGT: 2 pairs white, inset, uni-directional LGT. | Green with THR IDENT LGT | PAPI 3°(both sides of RWY) 2 white 2 red LGT (17.720m) 3 white 1 red LGT (20.323m) 4 white LGT (22.927m). ACFT with eye-to-wheel HGT greater than 6.3m are ADZ to fly with 2 white 2 red LGT visible so as to achieve sufficient wheel CLR. | Nil | Nil | White with yellow on last 600m of either end. Elevated, omni- directional and brilliancy controlled. | Red | Nil |
| 21 | APCH LGT: 1 row of inset APCH LGT of 4 LGT and 4 rows of barettes of 4 LGT each. White inset uni-directional APCH LGT and white omni-directional CGL on top of white, elevated uni-directional APCH LGT. Simple TDZ LGT: 2 pairs white, inset, uni-directional LGT. | Green with THR IDENT LGT | PAPI 3.5°(both sides of RWY) 2 white 2 red LGT (17.720m) 3 white 1 red LGT (19.286m) 4 white LGT (20.871m). ACFT with eye-to-wheel HGT greater than 6.3m are ADZ to fly with 2 white 2 red LGT visible so as to achieve sufficient wheel CLR. | Nil | Nil | White with yellow on last 600m of either end. Elevated, omni- directional and brilliancy controlled. | Red | Nil |
| RWY 21 THR and RWY END LGT symmetrically disposed in 2 groups with a gap between the groups. RWY 21 THR and RWY END LGT reinstated to inset fitting. | ||||||||
| 1 | ABN/IBN location, characteristics and hours of operation | ABN: 012448.000N 1035207.960E (on top of Control Tower) ALTN FLG W G EV 2.5 SEC. HN and IMC IBN: 012509.939N 1035152.143E (on top of West Substation) Flashing G ‘SL’ repeatedly. HN and IMC |
| 2 | LD and LGTI location Anemometer location and LGT | Cup anemometers and wind vanes and windsocks at ends of RWY. |
| 3 | TWY edge and centreline lighting | TWY Edge LGT: Blue, elevated and omni-directional TWY Centreline Marking: Yellow |
| 4 | Secondary power supply/switch-over time | Automatic standby generator power supply available for airfield lighting. |
| 5 | Remarks | Vehicles painted yellow or displaying checkered red/white or orange/white flag at highest point of vehicle. WDI lighted. |
| 1 | Coordinates of THR of FATO Geoid undulation |
| ||||||||||||
|---|---|---|---|---|---|---|---|---|---|---|---|---|---|---|
| 2 | FATO elevation M/FT | H03- 10.45m/34.3ft; H21 - 9.36m/30.7ft | ||||||||||||
| 3 | FATO area dimensions, surface, strength, marking | Rectangle 297m x 21.5m, compacted turf, helicopter landing area designations, outline by concrete kerbs painted white. | ||||||||||||
| 4 | True BRG of FATO | 033.33/213.33° Direction of TKOF zones: 034°GEO / 214°GEO | ||||||||||||
| 5 | Declared distance available |
| ||||||||||||
| 6 | Approach and FATO lighting | Nil | ||||||||||||
| 7 | Remarks | Slope of helicopter landing area (transverse/longitudinal) H03 - 1.19%/0.44% ; H21 - 0.96%/0.44% |
| 1 | Designation and Lateral Limits | SELETAR CTR SELETAR CONTROL ZONE A SELETAR CONTROL ZONE ‘B’ |
| 2 | Vertical Limits | SELETAR CONTROL ZONE A SELETAR CONTROL ZONE B |
| 3 | Airspace Classification | C |
| 4 | ATS Unit Call sign Language(s) | SELETAR TOWER English |
| 5 | Transition Altitude | 11000 FT (3,350m) |
| 6 | Remarks | Nil |
| Service designation | Call sign | Frequency P-Pri S-Sec | Hours of operation | Remarks |
| TWR | SELETAR TOWER | P118.45 MHz S130.2 MHz 270.4 MHz | H24 | * for vehicular movements |
| SELETAR GROUND | 121.6 MHz * 122.9 MHz | |||
| ACC | SINGAPORE RADAR | P123.7 MHz S127.3 MHz | For AWY B469, G334, R208, L625, L629, L635, L642, M751, M753, M758, M761, M763, M771, N884, N891 and N892 | |
| 133.8 MHz | 0000-1430 | |||
| P133.25 MHz S135.8 MHz | H24 | For AWY A457, A464, A576, B466, R325 (all northbound) and R469. | ||
| P134.2 MHz S133.35 MHz | For AWY G580, M646 and M767 | |||
| P134.4 MHz S128.1 MHz 255.4 MHz | For AWY A464, A576, G579 (all southbound), B470, G220, N875 and in area in the immediate vicinity of Singapore | |||
| Radar Maint Period: Monthly - every third SAT BTN 1601-2359 | ||||
| SINGAPORE RADIO | 6556 kHz 11297 kHz | SEA 1. SATCOM SER AVBL SSB suppressed carrier | ||
| 5655 kHz 8942 kHz 11396 kHz | SEA 2. SATCOM SER AVBL SSB suppressed carrier | |||
| 6556 kHz | SEA 3. SATCOM SER AVBL SSB suppressed carrier | |||
| APP | SINGAPORE APPROACH | P120.3 MHz S124.6 MHz | TAR: a) Intermediate APCH to Singapore Changi AP and other airports in Singapore every first THU BTN 0000-0900 (ASR I) and every fourth SAT BTN 1601-2359 (ASR II) |
| Type of Aid and Variation | Ident | Frequency | Opr Hr | Coordinates | DME Elevation/Remarks |
| 1 | 2 | 3 | 4 | 5 | 6 |
| JAYBEE NDB | JB | 400 KHz (80w) | H24 | 012959.77N 1034241.82E | BRG 298° DIST 19.6km from ARP Seletar. Coverage 50NM. Unusable 270°-060° beyond 20NM. EM: A0/A2 |
| KONG KONG NDB | KK | 286 KHz (70w) | H24 | 013117.76N 1035923.69E | BRG 049° DIST 17.7km from ARP Seletar. Coverage 50NM. Unusable 270°-010° beyond 30NM. EM: A0/A2 |
| SELETAR NDB | SEL | 220 KHz | H24 | 012448.50N 1035210.16E | BRG 152° DIST 0.44km from ARP Seletar. Coverage 50NM. EM: A0/A2 |
Light aircraft 800ft (west of Seletar runway only);
Other aircraft 1,000ft - 1,500ft (west of Seletar runway only);
Helicopter-only area east of runway up to 600ft AGL
2.2 For circuits and landings or flights to Light Aircraft Training Areas A, B and C, locally based operators shall submit details of their flight by electronic mail using a standard format. Submission procedure can be found in the following webpage:
| Aeronautical Service | Seletar AD | Sembawang AD | Significant Differences and Remarks |
|---|---|---|---|
| RWY Designation | 03/21 | 05/23 | Exercise caution due to almost similar RWY alignment |
| Location | Adjacent to the Straits of Johor on the eastern bank of Seletar River. Seletar AD is situated APRX 3NM NW of Paya Lebar AP. | APRX 3NM west of Seletar AD and 3NM inland from the Straits of Johor | Seletar RWY commences almost from the edge of the shore. Also note that Sembawang AD is inland and not next to the sea. |
| RWY LGT | White/Amber RWY edge LGT | Nil | Sembawang AD has no RWY LGT |
| Approach LGT | Simple approach LGT available for RWY 03 approach, consisting of 4 rows of barettes and 1 crossbar (5th row). RWY 03 - white, elevated, uni-directional approach LGT and white, omni-directional CGL on top of elevated approach LGT. Approach LGT available for RWY 21 approach, consisting of 1 row of inset approach LGT (1st row) and 4 rows of barettes. RWY 21 - white, inset and elevated, uni-directional approach LGT and white, omni-directional CGL on top of elevated approach LGT. Simple touchdown zone LGT for both RWY 03 and RWY 21 approach consisting of 2 pairs of white, inset, uni-directional LGT | Nil | No visual approach slope indicator at Sembawang AD |
| IBN | Flashing Green ‘SL’ | Flashing R ‘AG’ EV 20 SEC HN and IMC | Nil |
| ABN | ALTN Flashing W G EV 2.5 SEC | Nil | Sembawang AD has no ABN |
| Parking Apron | Relatively large aircraft parking apron to the west of RWY, connected to the RWY by three taxiways | Small aircraft parking apron | Differences in size and location of the parking apron |
| POINT | COORDINATES |
|---|---|
| A | 012551.0N 1035044.3E |
| B | 012549.9N 1035059.2E |
| C | 012522.3N 1035102.3E |
| D | 012458.3N 1035044.4E |
| E | 012443.4N 1035005.3E |
| F | 012335.6N 1035006.0E |
| G | 012324.6N 1035023.1E |
| H | 012237.4N 1035040.4E |
| I | 012234.4N 1035048.7E |
| J | 012231.1N 1035051.8E |
| K | 012232.2N 1035016.2E |
| L | 012315.1N 1034937.1E |
| M | 012322.4N 1034942.2E |
| N | 012317.5N 1034957.3E |

Join direct for a straight-in visual approach Rwy 21 descending from 2,000ft, or as cleared by ATC. Pilots should have the runway in sight.
Overfly the runway at 2,000ft, or as cleared by ATC. Passing over Position A (the south-end of the runway), descend from 2,000ft to 1,500ft and turn right for downwind RWY 21 (keeping clear of Light Aircraft Training Area A and Sembawang ATZ). At downwind descend for a visual approach RWY 21 or as cleared by ATC. Pilots should have the runway in sight.
Cross JB at or above 6,000ft enroute to Point ALFA. On passing Point ALFA, descend in VMC to 2,000ft or altitude cleared by ATC. (Point ALFA is loc at 013033N 1034942E or Radial 296 VTK)
On passing Point ALFA, join direct for a straight-in visual approach RWY 21 descending from 2,000ft, or as cleared by ATC (keeping clear of Sembawang ATZ).
On passing Point ALFA, overfly the runway at 2,000ft. When passing over Position A (the south end of the RWY), descend from 2,000ft to 1,500ft and turn right for downwind RWY 21 (keeping clear of Light Aircraft Training Area A and Sembawang ATZ). At downwind descend for a visual approach RWY 21 or as cleared by ATC. Pilots should have the runway in sight. Procedures are illustrated in the following charts:
